Contenuto
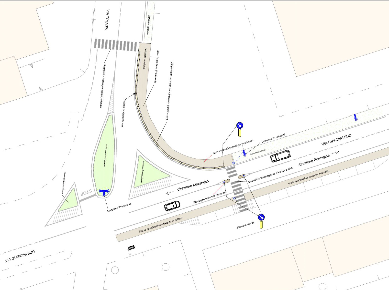
E' stato approvato ieri in giunta il progetto esecutivo dei lavori lungo la via Giardini di tre attraversamenti pedonali frazionati, cioè inclusivi di uno spartitraffico in mezzo alla carreggiata tra le corsie dei due sensi di marcia. In particolare, gli attraversamenti saranno realizzati in corrispondenza della Carteria, alla Molinella, e un terzo all'altezza dell'intersezione con via Treves, quest'ultimo in previsione della successiva realizzazione di una pista ciclo pedonale che collegherà via Giardini con via Pio Donati passando appunto lungo il lato nord di via Treves. “Questi interventi – spiega l'assessore alla Mobilità, Urbanistica e Lavori pubblici Armando Pagliani – sono stati decisi in seguito all'accoglimento di legittime richieste da parte dei cittadini, richieste che come Amministrazione ci stimolano a continuare a progettare interventi di prevenzione del rischio di incidenti. In questo caso, l'obiettivo è ottenere il rispetto dei limiti di velocità degli automobilisti e il miglioramento della sicurezza per gli utenti deboli, ciclisti e pedoni, nell'attraversamento di una via ad alto scorrimento come la Giardini. Segnalo inoltre che, in concomitanza dei lavori che prevediamo realizzati entro fine anno, verranno spostate in zona Carteria le fermate dell'autobus avvicinandole alle abitazioni, anche in questo caso accogliendo le indicazioni giunte dai residenti”.

A cura di
Questa pagina è gestita da
Ultimo aggiornamento: 18-01-2024, 14:29
